Аренда производственного помещения, 240 м² , улица Севастьянова
Площадь: 240 м²
Цена аренды:
218 000 руб./мес
Цена:
909 руб./м²/мес

улица Севастьянова, дом
,
Санкт-Петербург,
Россия
- Контактные данные
- +7 (906) 25X-XX-XX
Аренда
- В стоимость аренды входит
- коммунальные платежи
Об объекте
- Высота потолков, м
- 7
- Район
- Московский
- Этажность объекта
- 1
- Телекоммуникации
- телефонная линия
- Система отопления
- местная
- Выделенная энергетическая мощность
- 30 кВТ
- Имеется парковка
-
открытая
- Безопасность
- круглосуточный пункт охраны
- Система пожаротушения
- огнетушители
- Подведено водоснабжение и канализация
Производственные/складские помещения
- Парковка для грузовых авто
-
открытая
- Подъездные пути
- автотранспорт
- Имеются окна или витражи в складских/производственных помещениях
- Полы
- бетонные
- Имеется антипылевое покрытие
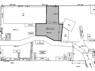
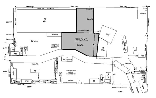
Планы помещений
Описание объекта
Колпинский район, г. Колпино, ул. Севастьянова, м. Звёздная
Аренда ремонтной мастерской для грузовых автомобилей 240 м2 в Колпино
Сдается в аренду ремонтная мастерская для грузовых автомобилей в Колпино. Просторное и функциональное помещение под ремзону, площадь помещения составляет 240 м2 (1220 м) с высотой потолков 7 метров, что обеспечивает комфортную работу с крупногабаритной техникой. В наличии кран-балка грузоподъемностью 3,2 тонны, две ремонтные ямы и двое грузовых ворот для удобного заезда фур. Прилегающий земельный участок площадью 789,5 м2 имеет бетонное покрытие и может использоваться для стоянки или маневрирования техники. Электрическая мощность объекта – 30 КВт с возможностью увеличения. Территория освещена, охраняется и доступна для въезда круглосуточно. Удобная транспортная доступность: всего 5 минут до железнодорожной станции Колпино. Арендная ставка: ремонтный бокс с кран-балкой: 156 000 руб./мес (650 руб./м2), земельный участок: 78 950 руб./мес (100 руб./м2).
Цена 218000 руб. в месяц (без НДС)
Консультант Андрей Салимов
П50
Код объекта: 19628
Написать представителю
Андрей Салимов
Ваша информация в безопасности.
Она будет отправлена только контактному лицу данного объявления.
улица Севастьянова, дом , Санкт-Петербург, Россия
Цена аренды:
218 000 руб./мес
Общая площадь:240 м²




